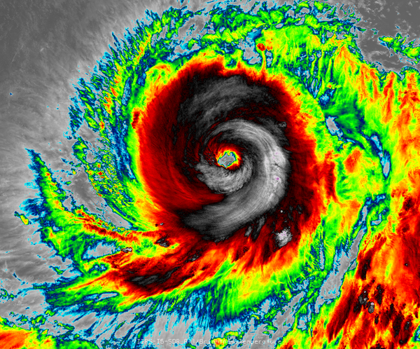
2014年地球上で最も最強の台風19号、勢力を落とすも日本縦断確定
アメリカ・ハワイの米軍合同台風警報センター(JTWC)などの報告によると、台風19号は中心気圧が955hPaとなり、「猛烈な台風」が「強い」台風へと勢力を落とし本州に接近している。つまり18号の上陸時950hPaよりは若干弱い台風となっているが、あくまで数字上の判断であり実際の影響力は測りしれない。13日~14日にかけて最も接近する。

気象庁の予測によると、関西~東海にかけては14日の3時に最も接近しその際の中心気圧は「965hPa」となっている。最大風速 35m/sで最大瞬間風速50m/sを予測している為、突然の突風にあおられ建築物の倒壊により多くの被害を受ける場合や、台風18号の影響により土壌が緩みその影響で土砂災害を引き起こす可能性もある。
いずれにせよ日本縦断は免れない状態であるので厳重に警戒したい。
気象庁
http://www.jma.go.jp/jp/typh/1419.html
米軍合同台風警報センター(JTWC)
http://www.usno.navy.mil/JTWC/
【沖縄本島地方に土砂災害警戒情報継続】台風本体北側の雲域が沖縄本島に。名護市、沖縄市、南城市、国頭村、大宜味村、八重瀬町が対象。紫部分が警戒基準を超過(11日18時現在)。崖の近くにお住まいの方は早めの避難を心掛けて下さい。 pic.twitter.com/ZcXB32rwz1
— 大竹(気象予報士) (@ohtakepapa) 2014, 10月 11―2014年に発生した台風で最も強い台風
海外メディアなどによると、台風19号は2014年に発生した地球上の台風の中で最も強い台風。900hPaと言う中心気圧の低さは、日本のみならず世界中に衝撃を与えた。しかし日本では「強い~猛烈な」という基準、海外では「カテゴリー1~5」と言う基準。台風やハリケーンの勢力の基準が異なる為いまいちわかりにくいのが問題だ。
http://www.washingtonpost.com/blogs/capital-weather-gang/wp/2014/10/07/super-typhoon-vongfong-explodes-becomes-most-intense-storm-on-earth-in-2014/
―ネットの反応
・ 台風19号が「2014年に地球上で発生した最強の台風」にまで発達
・ 台風19号勢力落ちてる
・ 台風19号の勢力がかなり弱まってると聞いて
・ 台風19号弱まってるみたいですね。
・ 今のところまだ台風19号の影響はない
・ 台風19号情報 女性コメンテーター「なんで台風っていつも日本を狙って来るのかしらっ!?」
気象予報士「日本に来ない台風は紹介しないからです」 ちょっと笑った
・ 台風19号は、なんと真上を通過
・ まじかよ
・ 台風19号の進路に日本列島全部入ってる。
・ 消えてないからまだ台風19号に四天王最弱コピペ禁止な
・ 台風19号がだんだん弱りながら日本に近づいてくるのを見ると24時間テレビのマラソンみたいで
別に感動しないな
・ 台風19号さんアプデで弱体くらってSランからBランに落ちたか
・ そりゃ時期が時期ですし。もう10月中頃だぞ
・ 台風19号すごいな
・ 地上最強の台風19号さん、一夜にしてゴミ性能